Skip to content

Heart To Heart

  • Home
  • Privacy Policy
  • Terms and Conditions
  • Toggle search form

The Anatomy of a Record-Breaking Monster: Unpacking the Science Behind Melissa’s Fury

Posted on October 29, 2025 By admin No Comments on The Anatomy of a Record-Breaking Monster: Unpacking the Science Behind Melissa’s Fury

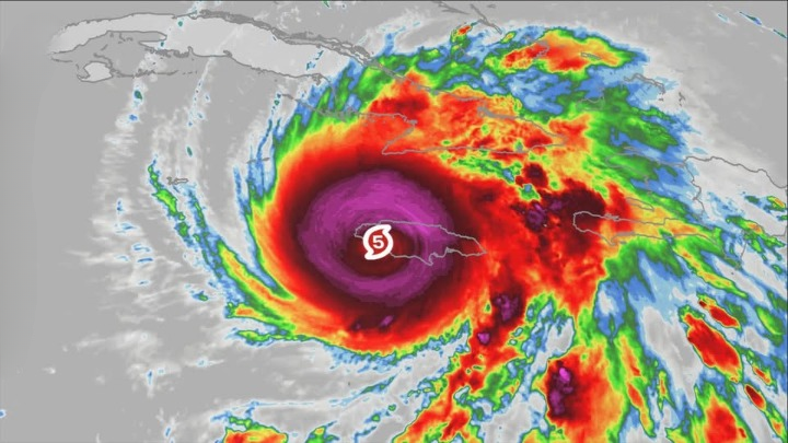
The initial reports of Hurricane Melissa’s landfall in Jamaica are not just alarming; they are a sobering entry into the meteorological history books. To state that it matched records for intensity and pressure is to only scratch the surface of a deeply complex and terrifying atmospheric event. This article will delve beyond the headlines to explore the precise mechanisms that allowed Melissa to achieve such a fearsome stature, the real-world implications of its recorded metrics, and what this means for the future of hurricane science and coastal preparedness.

1. The Benchmark of Brutality: What 185 mph Sustained Winds Truly Mean

The term “sustained winds” can often lose its impact. It’s crucial to understand that this is not a peak gust, but a ten-minute average wind speed measured at 10 meters above the surface. Hurricane Melissa’s 185 mph sustained winds place it in a dead heat with the 1935 Labor Day Hurricane (which struck the Florida Keys) and Hurricane Allen (1980) for the strongest Atlantic landfall.

  • The Saffir-Simpson Scale Re-evaluated: The Saffir-Simpson Scale categorizes any storm with winds exceeding 157 mph as a Category 5. Melissa’s 185 mph winds blast far past this threshold, residing in what some meteorologists informally call “Category 6” territory. The scale itself may need re-evaluation to communicate the exponential increase in damage potential.

  • The Physics of Destruction: Wind force increases with the square of the speed. This means a 185 mph wind does not have 18% more force than a 157 mph wind; it exerts nearly 40% more destructive force. At this velocity, the wind is no longer just a force that removes shingles or snaps trees. It systematically dismantles structures:

    • Well-built concrete and steel-reinforced buildings can suffer severe damage, with failure of windows, doors, and non-structural elements.

    • Most residential homes are completely destroyed, with walls collapsed and roofs torn away.

    • The landscape is permanently altered. Virtually all trees and power poles will be downed, leading to island-wide power outages that could last for months.

    • The wind becomes a projectile-launching mechanism. Debris from destroyed structures becomes shrapnel, exponentially increasing the danger to anything left standing.

2. The Eye of the Abyss: Decoding a Central Pressure of 892 Millibars

While wind speed captures the public’s imagination, atmospheric pressure is the true engine of a hurricane. Melissa’s central pressure of 892 millibars (mb) is a figure of almost unimaginable intensity. Standard sea-level pressure is approximately 1013 mb. Melissa’s core represented a colossal void, a low-pressure sinkhole that acted like a atmospheric straw, violently sucking moist air from the ocean surface.

  • A Record of Equal Measure: By matching the 1935 Labor Day Hurricane’s pressure, Melissa confirms its status as one of the most intense storms ever recorded on Earth. For context, Hurricane Katrina (2005) made landfall at 920 mb; Hurricane Michael (2018) was at 919 mb. The 28-mb difference between Michael and Melissa represents a monumental leap in intensity.

  • The Pressure-Wind Relationship: Lower pressure directly correlates with higher wind speeds. The immense pressure gradient—the difference in pressure between the eye and the surrounding environment—forces air to rush inward at ever-increasing velocities, spiraling towards the center to fill the void. The fact that both pressure and wind speed records were matched is not a coincidence; it is a testament to a perfectly organized, incredibly tight inner core.

  • The Storm Surge Implications: Low pressure itself contributes to storm surge. The ocean surface literally bulges upward under the extreme low pressure of the hurricane’s eye. For every 1 mb drop in pressure, the sea level rises by approximately 1 cm. Melissa’s 121 mb drop from standard pressure contributed over 4 feet to its catastrophic storm surge, which was then compounded by the wind-driven waves on top of it.

3. The 252 mph Gust: A Glimpse into the Microscale Fury

The report from the Hurricane Hunter aircraft of a 252 mph instantaneous wind gust is perhaps the most staggering data point of all. This was not a sustained wind, but a fleeting, hyper-localized burst of energy occurring just above the ocean surface. Understanding this requires a look into the turbulent, chaotic inner structure of the hurricane’s eyewall.

  • The Eyewall Mesovortex: Major hurricanes often contain smaller, rotating vortices within the main eyewall, known as mesovortices. These are like spinning sub-storms within the larger storm, similar to a tornado embedded within a supercell thunderstorm. As the main circulation of Melissa tightened, these mesovortices could have spun up to incredible rotational speeds, generating instantaneous wind gusts far exceeding the sustained wind field.

  • Proximity to the World Record: The 252 mph gust places Melissa within a whisper of the world’s highest recorded wind gust—253 mph from Cyclone Olivia in 1996. This underscores that Melissa was not just an Atlantic phenomenon; it was a global-scale meteorological event. The conditions within its core were as extreme as any ever measured on the planet.

  • Measurement and Meaning: Capturing such a gust is both a feat of technology and bravery. It requires a specially equipped aircraft flying directly through the most violent part of the storm, deploying a device called a dropsonde. This data is critical for understanding the upper limits of hurricane intensity and for refining building codes and engineering standards to withstand such extreme, albeit rare, forces.


Historical Context: Melissa in the Lineage of Legendary Cyclones

To fully grasp Melissa’s significance, we must place it in its proper historical context, comparing it not just to Atlantic storms, but to the most powerful tropical cyclones ever recorded across the globe.

A Comparative Analysis of Historic Storms:

Hurricane / Cyclone Basin Year Max Sustained Winds Central Pressure (mb) Key Facts & Legacy
Hurricane Melissa Atlantic 2025 185 mph 892 mb Matched records for landfall intensity and pressure in the Atlantic.
Labor Day Hurricane Atlantic 1935 185 mph 892 mb Struck the Florida Keys with little warning; highest death rate of any Atlantic hurricane.
Hurricane Allen Atlantic 1980 190 mph 899 mb Achieved the highest sustained winds in the Atlantic, but weakened before landfall in Texas.
Typhoon Haiyan Pacific 2013 195 mph 895 mb Caused catastrophic damage in the Philippines; infamous for its devastating storm surge.
Cyclone Winston So. Pacific 2016 185 mph 884 mb The strongest storm ever in the Southern Hemisphere.
Cyclone Olivia Australia 1996 (~165 mph sust.) N/A Holds the world record for highest wind gust (253 mph).

This comparison reveals that Melissa exists in the uppermost echelon of tropical cyclones, a peer to the most destructive storms in modern history. Its combination of record-equaling pressure at landfall and its extreme wind gusts makes it a “perfect storm” for scientific study.


The Climate Change Connection: Fueling the Fury of the Future?

The inevitable question in the wake of a storm like Melissa is: What role did climate change play? While no single weather event can be attributed solely to climate change, the scientific consensus is clear that a warming world is creating conditions more favorable for the development of intense, major hurricanes.

  • Warmer Ocean Heat Content: Hurricanes are heat engines, fueled by warm ocean water. Sea surface temperatures (SSTs) in the Caribbean and Atlantic have been consistently above average, providing a deeper reservoir of energy for storms to tap into. This excess heat can contribute to Rapid Intensification (RI)—a process where a hurricane’s winds increase by at least 35 mph in 24 hours. Melissa underwent multiple bouts of RI, a trend becoming more common.

  • A More Moist Atmosphere: A warmer atmosphere can hold more water vapor. For every 1°C (1.8°F) increase in temperature, the atmosphere’s water-holding capacity increases by about 7%. This leads to higher rainfall rates within hurricanes, exacerbating inland flooding, which is often the deadliest aspect of these storms.

  • Sea Level Rise: A Higher Launch Pad for Storm Surge: Global sea levels have risen by over 8 inches on average since 1900. This means that when a storm like Melissa pushes water ashore, it starts from a higher baseline. The resulting storm surge penetrates farther inland, causing more widespread damage to coastal infrastructure and ecosystems.

The emergence of storms that push against theoretical maximum intensities, like Melissa, is a stark warning. It suggests that the historical records we have relied upon for decades may no longer represent the upper bound of what is possible in our changing climate.


The Human and Economic Toll: Beyond the Metrics

Behind the staggering numbers of wind speed and pressure lies a profound human tragedy. The impact on Jamaica, and any region in Melissa’s path, will be multi-faceted and long-lasting.

  • Immediate Humanitarian Crisis: Search and rescue operations, medical care for the injured, and the provision of clean water, food, and temporary shelter are the immediate priorities. The near-total destruction of infrastructure will severely hamper these efforts.

  • Long-Term Economic Devastation: The cost of Hurricane Melissa will be measured in the tens, if not hundreds, of billions of dollars. Key industries like tourism and agriculture may take years to recover. The rebuilding of homes, schools, hospitals, and roads will strain national economies for a generation.

  • Psychological Trauma: The psychological impact on survivors cannot be overstated. The terror of enduring such a storm, coupled with the loss of loved ones, homes, and livelihoods, leads to widespread PTSD, anxiety, and depression that require long-term mental health support.


Conclusion: A New Paradigm for Preparedness

Hurricane Melissa is not an anomaly to be filed away in a record book. It is a precedent. It demonstrates that our historical understanding of hurricane potential may be outdated. The convergence of its record-equaling pressure, its extreme winds, and its terrifying gusts should serve as a clarion call for a fundamental shift in how we prepare for and respond to these threats.

This requires:

  1. Increased Investment in Hurricane Science and Forecasting: Better models that can more accurately predict rapid intensification are critical for saving lives.

  2. Revolutionized Building Codes: Coastal communities must adopt and enforce building codes designed to withstand Category 5-level winds and storm surge.

  3. Robust Climate Adaptation Strategies: A comprehensive approach involving wetland restoration, managed retreat from vulnerable coastlines, and the hardening of critical infrastructure is no longer optional; it is essential for survival.

Hurricane Melissa has written a new, frightening chapter in the history of our relationship with the natural world. The question now is whether we have the wisdom to learn from it.

Uncategorized

Post navigation

Previous Post: Beyond the Crown: Paris Jackson’s Candid Reckoning with the Michael Jackson Legacy
Next Post: Remembering Beth Maitland: A Legacy of Grace, Talent, and an Enduring Soap Opera Legacy

Leave a Reply Cancel reply

Your email address will not be published. Required fields are marked *

Recent Posts

  • The Real Legacy of Storage Wars: Behind the Fame, The Struggles, and The Human Stories That Inspired Millions
  • Keith Urban and Nicole Kidman: A Hollywood Love Story of Redemption, Resilience, and Everlasting Grace
  • A Nation United by Compassion: How One Tragic Event Sparked Hope, Reform, and Awareness
  • Beyond the Auctions: The Real Legacy of Storage Wars and the Stories That Still Inspire Millions
  • The Untold Journey of the Storage Wars Cast: Fame, Struggles, and Redemption Beyond the Auction Block

Copyright © 2025 Heart To Heart.

Powered by PressBook WordPress theme